طوفان «آیدا» ایالت لوئیزیانا را به لرزه در آورد+فیلم
پارسینه: مرکز ملی طوفان آمریکا اعلام کرد طوفان آیدا سواحل ایالت لوئیزیانا در آمریکا را در نزدیکی بندر فورچون را لرزانده است.
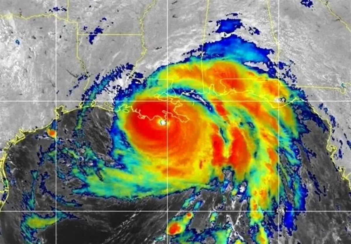
به گزارش اسپوتنیک، مرکز ملی طوفان آمریکا (NHC) گزارش داد، طوفان آیدا سواحل ایالت لوئیزیانا در آمریکا را در نزدیکی بندر فورچون را لرزانده است.
اوایل روز یکشنبه، NHC اعلام کرد که این طوفان در حال ظهور در ایالات متحده به رده چهار خطر افزایش یافته است، که به معنای احتمال "خسارت فاجعه بار" است.
در این گزارش آمده است: "طوفان آیدا در نزدیکی پورت فورچون در لوئیزیانا، به عنوان طوفان فوق العاده خطرناک درجه ۴ رخ داده است. خاطر نشان میشود که سرعت باد به ۱۵۰ مایل در ساعت (حدود ۲۴۱.۴ کیلومتر در ساعت) میرسد. "
هواشناسان میگویند که طوفانهای درجه ۴ قادرند سقفها را خراب کرده و دیوارهای بیرونی خانهها را خراب کنند، درختان را ریشه کن کرده و برجهای انتقال نیرو را به زمین بریزند و ورودی شهرکها را مسدود کنند. مناطق پس از فاجعه چنین نیروی طوفانی ممکن است "هفتهها یا ماه ها" غیرقابل سکونت باشند. علاوه بر بادهای شدید، آیدا تهدید میکند که آب دهانه رودخانه میسی سی پی را سه تا چهار متر افزایش یابد.
اوایل روز یکشنبه، NHC اعلام کرد که این طوفان در حال ظهور در ایالات متحده به رده چهار خطر افزایش یافته است، که به معنای احتمال "خسارت فاجعه بار" است.
در این گزارش آمده است: "طوفان آیدا در نزدیکی پورت فورچون در لوئیزیانا، به عنوان طوفان فوق العاده خطرناک درجه ۴ رخ داده است. خاطر نشان میشود که سرعت باد به ۱۵۰ مایل در ساعت (حدود ۲۴۱.۴ کیلومتر در ساعت) میرسد. "
هواشناسان میگویند که طوفانهای درجه ۴ قادرند سقفها را خراب کرده و دیوارهای بیرونی خانهها را خراب کنند، درختان را ریشه کن کرده و برجهای انتقال نیرو را به زمین بریزند و ورودی شهرکها را مسدود کنند. مناطق پس از فاجعه چنین نیروی طوفانی ممکن است "هفتهها یا ماه ها" غیرقابل سکونت باشند. علاوه بر بادهای شدید، آیدا تهدید میکند که آب دهانه رودخانه میسی سی پی را سه تا چهار متر افزایش یابد.
منبع:
تسنیم
ارسال نظر